Featured
Last news
Spirit to merge with Frontier, creating major low-cost US airline
Budget US carriers Spirit and Frontier announced Monday they will merge to create a competitive low-cost airline, in an industry "shake up" they say aims to challenge the dominance of larger rivals.
Morocco buries little Rayan who died trapped in well
Moroccans on Monday attended the funeral of Rayan, a five-year-old boy who spent five days trapped down a well, sparking a vast rescue operation that gripped the world but ended in tragedy.
Sweden's PriceRunner sues Google for 2.1 bn euros
Swedish price comparison site PriceRunner said Monday it was suing tech giant Google for 2.1 billion euros ($2.4 billion) for promoting its own shopping comparisons in search results.
New report alleges widespread Pegasus spying by Israel police
Police used Pegasus spyware to hack phones of dozens of prominent Israelis, including a son of former premier Benjamin Netanyahu, activists and senior government officials, an Israeli newspaper reported Monday.
Original 'Fight Club' ending restored in China after online backlash
The original, iconic ending of cult US film Fight Club has been restored to screens in China after a censored version that brought all criminals to book sparked outrage online.
Indonesia bus crash kills 13, injures dozens
At least 13 people were killed and dozens more injured after a tour bus carrying factory workers to a beach holiday crashed on Indonesia's Java island, according to police.
Morocco to bury 'little Rayan' who died trapped in well
Morocco prepared Monday to bury "little Rayan", the five-year-old boy who died trapped in a well despite a days-long rescue operation that gripped the world.
Ecuador capital flooding toll raised to 28
The heaviest flooding to hit Ecuador in two decades claimed 28 lives in the capital Quito this week and left 52 people injured, the city's mayor said Sunday.
NY's Queens borough offers a world of flavors, even amid pandemic
Across ethnically rich New York, you can easily dine on food from 100-plus countries. Or you can just go to the borough of Queens, where an incredibly diverse food scene is thriving even in these pandemic days.
Iraq presidential vote in question after boycotts, court ruling
Doubts hung Sunday over a scheduled parliamentary vote for Iraq's president after the Supreme Court temporarily suspended former foreign minister Hoshyar Zebari, a frontrunner for the post, and leading parliamentary factions announced a boycott.
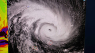
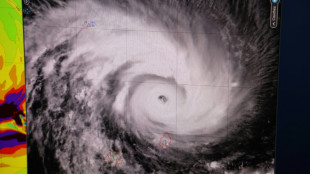
Cyclone Batsirai kills 10, displaces nearly 48,000 in Madagascar
Cyclone Batsirai killed at least 10 people and displaced nearly 48,000 when it struck Madagascar overnight, the national disaster management agency said on Sunday.
US-born Chinese skater savaged online after Olympics blunder
China appeared Sunday to censor an outpouring of social media vitriol against a naturalised US-born figure skater who took a tumble at the Beijing Games and nearly cost the hosts dear.
'Act of arson' at S.Africa church where Tutu is buried
A fire started by an arsonist broke out overnight at the cathedral where South Africa's spiritual father and anti-apartheid hero Archbishop Desmond Tutu is buried, a church leader announced Sunday.
Tunisian president dissolves top judicial watchdog, accuses it of bias
Tunisian President Kais Saied has dissolved a major independent judicial watchdog, he said Sunday, accusing it of bias and working for special interests.
Morocco in shock after tragic death of 'little Rayan'
Morocco was in shock Sunday after emergency crews found a five-year-old boy dead at the bottom of a well in a tragic end to a painstaking five-day rescue operation that gripped the nation and the world.
'Golden Dream' turns into nightmare for German port town
The unfinished "Golden Dream" rests quietly in a dock as the Covid-19 pandemic has turned the cruise ship into a nightmare for the shipyard in Wismar along Germany's windswept Baltic coast.
Australia urges Myanmar to free detained economist
Australia's foreign minister called Sunday for the "immediate release" of economist Sean Turnell, who has been detained by Myanmar's military junta for the past year.
Honduran president grants amnesty to husband's allies
Honduras' new president, leftist Xiomara Castro, who came to power promising to fight corruption, granted amnesty Saturday to many officials who served in her husband's government more than a decade ago.
UN's Guterres says expects China to let rights chief visit Xinjiang
UN Secretary-General Antonio Guterres told leaders in Beijing he expects them to allow UN human rights chief Michelle Bachelet to make a "credible" visit to China including a stop in the troubled Xinjiang region, his spokesman said Saturday.
Cyclone Batsirai closes in on eastern Madagascar
As powerful Cyclone Batsirai closed in on eastern Madagascar on Saturday people sought shelter in more secure concrete buildings while others reinforced their roofs with large sandbags.
Rescuers enter tunnel to free Moroccan boy trapped in well
Morocco held its breath as rescue workers on Saturday entered a tunnel leading to a pocket where a five-year-old boy has been trapped for days after falling into a well, AFP correspondents said.
Covid vaccination compulsory in Austria, in EU first
It's official: Austrians over the age of 18 must be vaccinated against Covid-19 from Saturday or face the possibility of a heavy fine, an unprecedented measure in the European Union.
Increasing urgency over fate of Moroccan boy stuck days in well
Moroccan rescuers worked through the night into Saturday, the fifth day of an increasingly urgent and nerve-wracking effort to rescue Rayan, a five-year-old boy trapped underground in a well.
US panel recommends release of mentally ill Guantanamo detainee
American authorities have recommended releasing a mentally ill inmate from Guantanamo Bay and repatriating him to Saudi Arabia, according to a government document published Friday.
Cyclone Batsirai nears Madagascar, poses 'very serious threat'
Cyclone Batsirai was expected to reach eastern Madagascar on Saturday, posing a "very serious threat" to millions with powerful winds and torrential rains set to batter the large Indian Ocean island.
Death toll from laced cocaine in Argentina climbs to 24
The death toll among dozens of people who consumed cocaine likely laced with opioids in Buenos Aires rose to 24 on Friday, with 23 still in hospital, health officials said.
Compulsory vaccination rules come into force in Austria
It's official: From Saturday, Austrians over the age of 18 must be vaccinated against Covid-19 or face the possibility of a heavy fine, an unprecedented measure in the European Union.
Peru president sacks PM accused of domestic violence
Peruvian President Pedro Castillo dumped his prime minister Friday just three days after appointing him, amid outrage over revelations he was accused of domestic violence in 2016.
Colombian charged in Haiti president's killing pleads not guilty in US court
A former Colombian soldier charged in the United States with participating in the assassination of Haitian President Jovenel Moise pleaded not guilty Friday, his lawyer in Miami said.
Quito flooding toll raised to 27
The heaviest flooding to hit Ecuador in two decades claimed 27 lives this week and left 53 people injured, municipal officials said Friday.
Ottawa police chief vows crackdown on 'unlawful' protest
Ottawa's police chief vowed Friday to crack down on an "unlawful" occupation of the Canadian capital by protesters opposed to vaccine mandates, as the trucker convoy's clogging of the city enters a second week.
Iceland to end whaling as demand dwindles
Iceland, one of the only countries that still hunts whales commercially, said Friday it plans to end the practice from 2024 as demand for whale meat dwindles.